- Casas
- Departamentos
- Top 5 estados en venta
- Top 5 ciudades en venta
- Más propiedades
- Top 5 estados en venta
- Top 5 ciudades en venta
- Propiedades tipo Infonavit
Novedades
Loading...






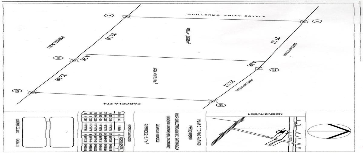
Terreno en venta – la florida, san luis potosíprecio: $3,500,000 mxnsuperficie: 2115 m²excelente terreno ubicado en la florida, frente a un jardín de eventos. se trata únicamente del terreno, pero inc...
Mostrar másBusca en los mejores lugares