- Casas
- Departamentos
- Top 5 estados en venta
- Top 5 ciudades en venta
- Más propiedades
- Top 5 estados en venta
- Top 5 ciudades en venta
- Propiedades tipo Infonavit
Novedades
Loading...






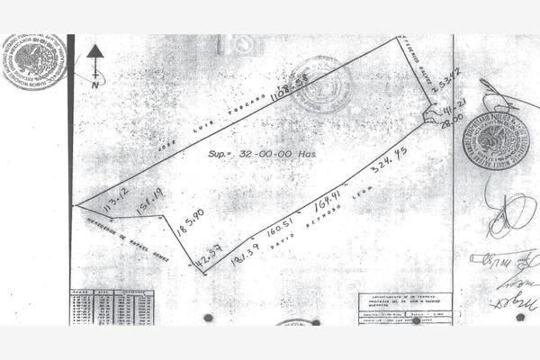
Nocnok id: mx23-on8626. terreno urbano 30 hectáreas con servicios, camino público, arroyo.
Busca en los mejores lugares