Local
Renta
$55,000 MXN
- 1.5 Baños
- 183 m2




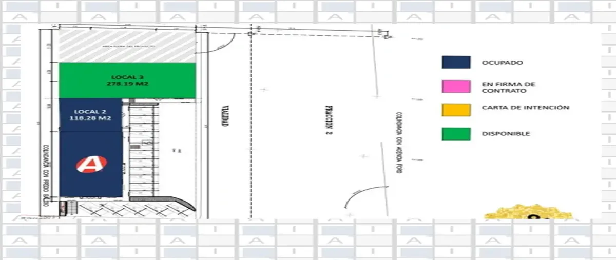
Nocnok id: nn-st1000545. características: local 278 m2 estacionamiento alto flujo peatonal como vehicular se entregan en obra gris para que lo adapte a sus necesidades. se ofrece una carga de 10kw...
Mostrar másBusca en los mejores lugares