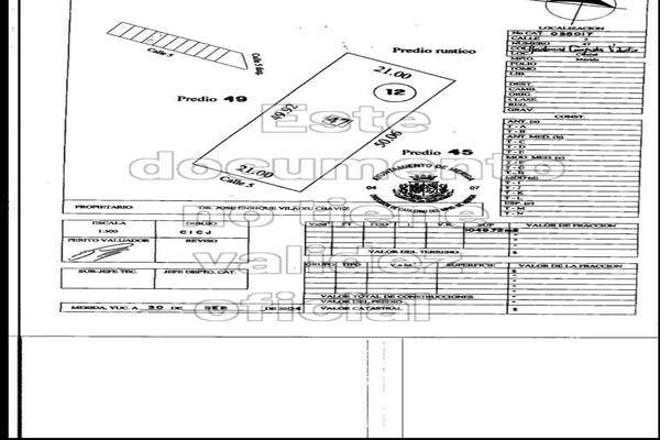
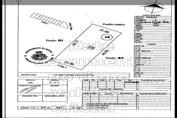
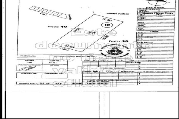
Terreno habitacional
Venta
$3,300,000 MXN
- 1200 m2




Este terreno se encuentra en la tranquila y creciente zona residencial de cholul, una de las áreas de mayor demanda en el norte de mérida, yucatán. el terreno tiene una buena ubicación, ideal para la ...
Mostrar másBusca en los mejores lugares