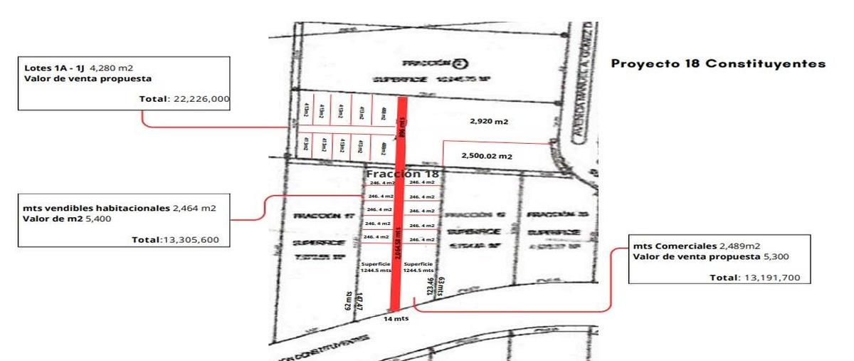
Terreno habitacional
Venta
$5,447,745 MXN
- 1210 m2






Terreno en venta con gran potencial de desarrollo – 1244 descubre una oportunidad única de inversión en una zona con gran proyección de crecimiento, cerca de donde estará el tren méxico–querétar...
Mostrar másBusca en los mejores lugares