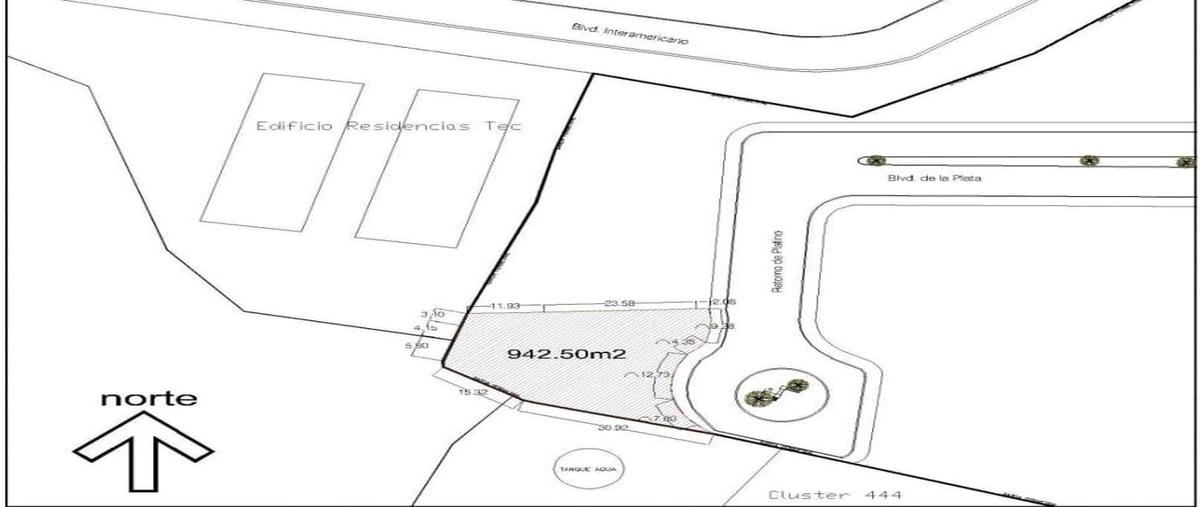
Terreno habitacional
Venta
$13,000,000 MXN
- 1027 m2






Oportunidad excepcional de inversión o desarrollo en una de las zonas con mayor potencial: el cluster 555. se trata de un gran lote con características inigualables que se vende en su totalidad:• supe...
Mostrar másBusca en los mejores lugares