Terreno habitacional
Venta
$61,000,000 MXN
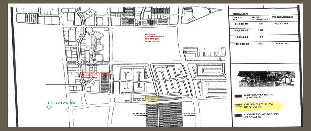
- 7798 m2






Terreno en venta – playa del carmen, quintana roo enfoque: desarrolladores e inversionistas institucionales ubicado en el corazón de playa del carmen, dentro del municipio de solidaridad, este terreno...
Mostrar másBusca en los mejores lugares