- Casas
- Departamentos
- Top 5 estados en venta
- Top 5 ciudades en venta
- Más propiedades
- Top 5 estados en venta
- Top 5 ciudades en venta
- Propiedades tipo Infonavit
Novedades
Loading...






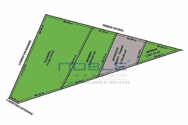
Terrenos en venta en teotihuacán . en la autopusta méxico - tuxpan , a 5 minutos de las pirámides . estamos ofreciendo tres lotes de terreno que pueden venderse juntos o por separado, ubicados en la a...
Mostrar másBusca en los mejores lugares