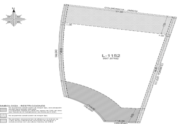
Terreno habitacional
Venta
$4,500,000 MXN
- 997 m2




Terreno en privada con campo de golf, exclusivo espacio residencial ubicado sobre la carretera progreso en una buena zona de mérida yucatán al centro del proyecto se sitúa un campo de golf, podrás dis...
Mostrar másBusca en los mejores lugares