- Casas
- Departamentos
- Top 5 estados en venta
- Top 5 ciudades en venta
- Más propiedades
- Top 5 estados en venta
- Top 5 ciudades en venta
- Propiedades tipo Infonavit
Novedades
Loading...




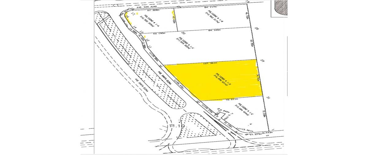
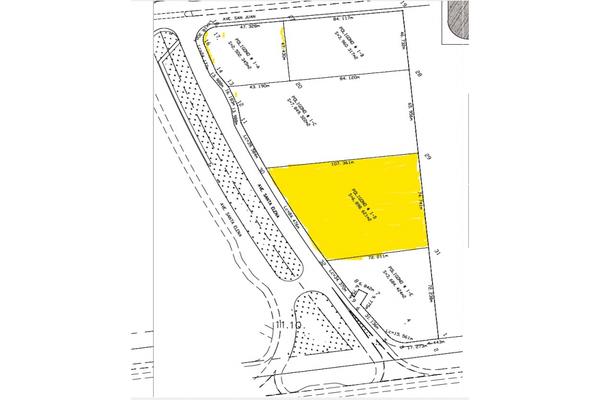
Terreno comercial en venta plano en la colonia valle de santa elena muy cerca de carretera a agua fria terreno: 5870 m2frente: 84 mfondo: 92 mprecio por m2: $3500 nota: las especificacione...
Mostrar másBusca en los mejores lugares