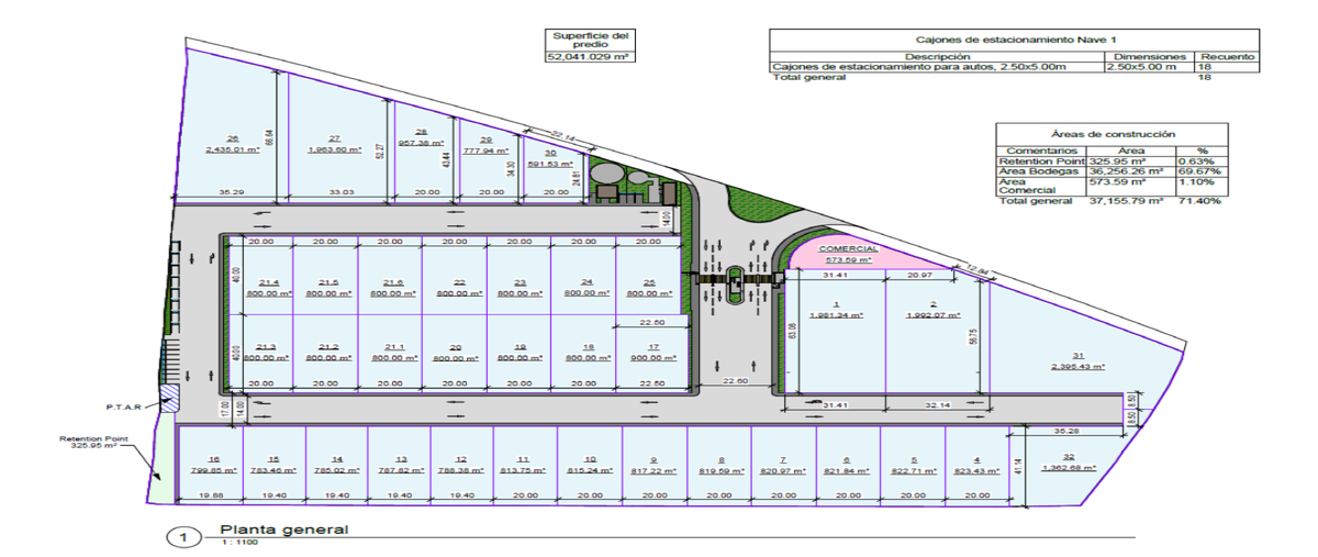
Terreno industrial
Venta
$6,800,000 MXN
- 800 m2






Ubicación estratégica en periférico oriente, a tan solo 11 minutos del aeropuerto, con acceso rápido a las principales vialidades de la ciudad. ideal para empresas que buscan una ubicación privilegiad...
Mostrar másBusca en los mejores lugares