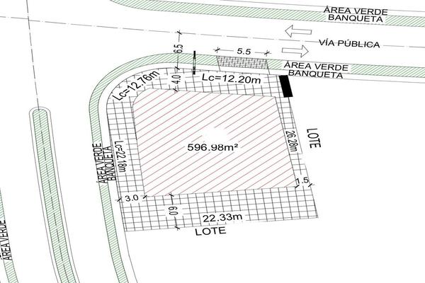
Terreno habitacional
Venta
$4,800,000 MXN
- 600 m2




Terreno con ubicación ideal en una de las privadas con mayor crecimiento dentro del yucatán country club la orientación es norte sur. la privada cuenta con amenidades como: canchas de pádel water park...
Mostrar másBusca en los mejores lugares